宁波这些地方要拆迁!涉及这个热门地块
交通广播 资讯      2021-07-29 20:05 6264
7月28日


市自然资源和规划局海曙分局
发布了三则土地征收公告
▽▽▽
图片




01

集士港镇横港村

根据《中华人民共和国土地管理法》等法律规定,因宁波望春工业园区管委会实施望春工业园区中新凯德路(纬二路-前塘河)工程建设项目,拟征收集士港镇横港村农民集体所有土地。


征收范围:

集士港镇横港村农民集体所有土地2.0042公顷(具体以勘测定界成果为准)。四至范围见示意图。


图片




02

高桥镇长乐村

根据《中华人民共和国土地管理法》等法律规定,因海曙区旧村改造管理服务中心实施宁波市海曙区长乐社区地块建设项目,拟征收高桥镇长乐村农民集体所有土地。


征收范围:

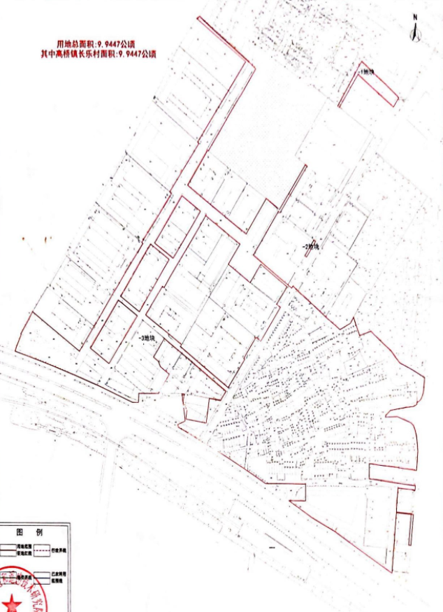
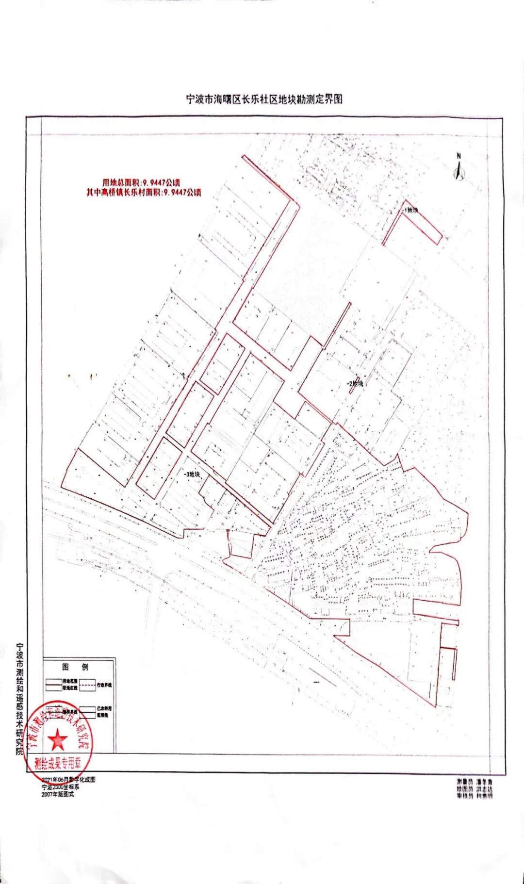
高桥镇长乐村农民集体所有土地9.9447公顷(具体以勘测定界成果为准)。四至范围见示意图。


图片




03

石碶街道石碶村

根据《中华人民共和国土地管理法》等法律规定,因宁波市海曙区水利建设投资发展有限公司实施宁波市区清水环通一期工程建设项目,拟征收石碶街道石碶村农民集体所有土地。


征收范围:

石碶街道石碶村农民集体所有土地0.3242公顷(具体以勘测定界成果为准)。四至范围见示意图。


图片




市政府于7月23日发布的这则公告显示,因海曙区旧村改造管理服务中心实施海曙区长乐社区地块建设项目拟征收高桥镇长乐村农民集体所有土地9.9447公顷。


公告说,海曙区人民政府将组织高桥镇人民政府开展土地现状调查,对土地权属、地类、面积,以及农村村民住宅(含权属、面积等)、其他地上附着物和青苗的权属、种类、数量等信息进行调查确认。


自公告发布之日起,在拟征收土地范围内暂停办理户口迁入、分户、房屋交易、翻(扩)建、装潢、核发营业执照、调整农业生产结构等不正当增加补偿费用的行为。

      

同时,自公告发布之日起,任何单位和个人不得在拟征收土地范围内抢种抢栽抢建,违反规定抢种抢栽抢建的,不予补偿安置。


图片

海曙区长乐社区地块勘测定界图 


在今年5月公布的全省2021年未来社区创建名单中,海曙区长乐社区被列入拆除重建类未来社区创建名单——这是海曙区首个入选的未来社区。


据海曙发布此前消息,长乐未来社区总体定位为“玉虹倚江,长乐未央”,将打造姚江南岸的先行启动区、城市记忆的留存之地、文化交流的打卡场所、未来居住的示范园区。


在中国宁波网民生e点通问政平台上,海曙区住建局方面公开回复表示,目前长乐未来社区正在深化方案。


高桥镇方面同时回复网友说——


长乐未来社区实施单元区块范围,东起新园路,西至规划二路,南至中山西路,北至通途西路,面积20.55公顷。


长乐区块拆迁工作正有序推进中,其中一期项目拆迁范围为长乐村李十四房,目前正在进行征迁前期工作,陆家、黄家庄将根据实际情况推进,具体情况以公告为准。



图片
长乐村位置示意,据宁波天地图标注,仅供参考。点击可放大查看




图片
图片
长乐未来社区设计效果图,呈现以实际为准


来源:市自然资源和规划局海曙分局、宁波楼市报道

海曙资规分局、海曙发布、民生e点通问政平台等

值班编辑:吉吉


声明:在宁波刊载此文是出于传递更多信息之目的。图片版权归原作者所有,仅作分享之用,如果分享内容侵犯您的版权或者所标来源非第一原创,请联系我们审核处理。

相关新闻

宁波8地连发预警!

交通广播 7.29 3173

警惕!宁波疾控发布最新提醒!宁波这些人请速报备

交通广播 7.29 2945

【全网正当红】10米气步枪的靶子究竟有多小?超乎想象

交通广播 7.29 2782

在宁波

为宁波人定制的APP

打开APP